کشف حشرۀ ناشناخته ای که زنبور نیست! (+عکس)
در کلمبیا، به تازگی گونهای ناشناخته از حشره کشف شده است که وانمود میکند زنبور است و سپس کار یک «قاتل» را انجام میدهد!

اگر یک حیوان راهراه سیاه و سفید را در ساوانا (گرمدشت) ببینید، به راحتی تشخیص میدهید گورخر است. یک خرس بزرگ و سفید که با برف یکی شده، به وضوح یک خرس قطبی است. اما برخی از حیوانات ظاهر حیوان دیگری را به خود میگیرند و از آن به نفع خود استفاده میکنند.
به گزارش فرادید، در کلمبیا، یکی از این موجودات وانمود میکند زنبور است و سپس کار یک «قاتل» را انجام میدهد.
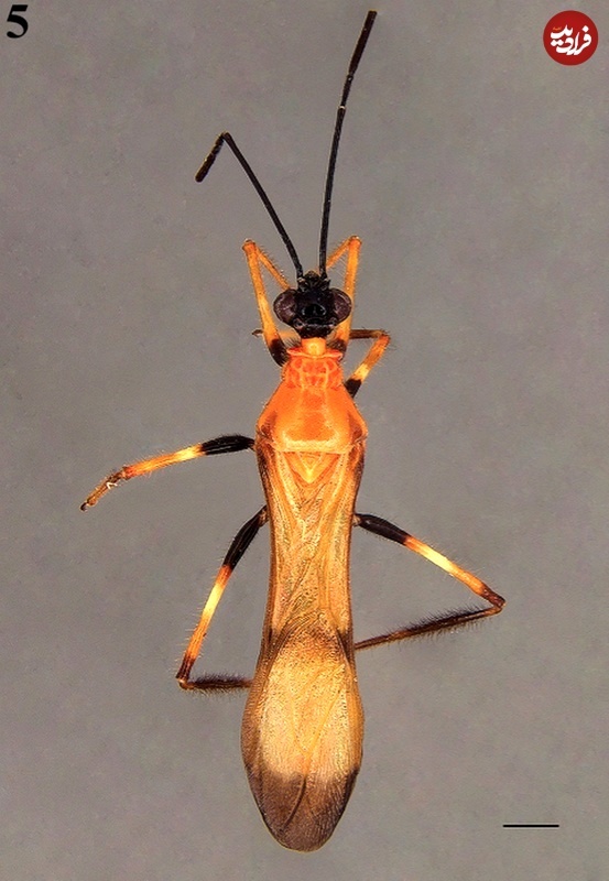
بر اساس مطالعهای که روز ۱۹ ژوئیه در مجله زوکیز منتشر شد، محققانی که در حال بررسی گوناگونی حشرات در مزارع کاکائو بودند، یک حشره کوچک نارنجی رنگ را روی برگهای گیاهان کاکائو مشاهده کردند.
این حشره شکل یک زنبور، سر یک زنبور و رنگی شبیه به زنبور داشت، اما در تحقیقات بیشتر، محققان دریافتند این موجود اصلا زنبور نیست، بلکه یک حشره قاتل و یک گونه قبلا ناشناخته است.

نقاط متقارن نارنجی در پایین بدن حشرات سبب متمایز شدن آنها از سایر گونههای شناختهشده میشود
به گفته بریتانیکا، حشرات قاتل گونهای از حشرات شکارچی هستند که به مکیدن مایعات بدن طعمههایشان معروف هستند.
طول این حشره کمتر از نیم اینچ است و یک روکش نارنجی روی بدن و نقاط متقارن نارنجی در طرفین بدنش دارد. به گفته محققان، این ویژگیها از سایر گونههای شناختهشده در نوحاره متمایز است.
این گونه جدید به افتخار پدر دو تن از نویسندگان مطالعه نئوتروپیکونیتس آرماندوی (Neotropiconyttus armandoi) نامگذاری شد.

به گفته محققان، این حشره قاتل شباهتهای شگفتانگیزی با زنبوری که از آن تقلید میکند دارد
گونهی جدید در حالی پیدا شد که روی برگ درخت کاکائو نزدیک میوههای این درخت ایستاده بود، گیاهی که زنبورهای واقعی که این حشره مقلد آنهاست، از آن تغذیه میکنند.
بر اساس این مطالعه، «شباهتهای شگفتانگیزی» بین گونههای زنبور و حشره قاتل وجود دارد که ثابت میکند گونههای جدید به طور خاص سعی میکنند از نظر فیزیکی شبیه زنبور به نظر برسند.
به گزارش بیبیسی، بسیاری از گونههایی که از نظر فیزیکی شبیه حیوانات دیگر هستند، این کار را برای محافظت از خودشان در برابر شکارچیان یا جذب طعمه انجام میدهند.
به گفته محققان، حشره قاتل آرماندو در مزارع کاکائو در منطقهای از کلمبیا یافت شده که متحمل جنگلزدایی زیادی برای کشاورزی و دام شده است.
این مزارع در رشتهکوه غربی کلمبیا در امتداد حوضه آمازون قرار دارند.







